二次元裏@ふたば

画像ファイル名:1773580897392.png-(538831 B)
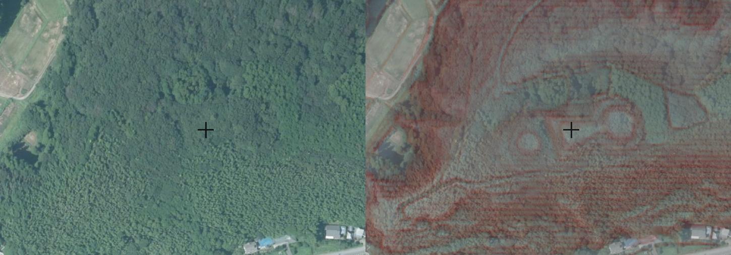
538831 B26/03/15(日)22:21:37No.1411143403+ 23:50頃消えます
新発見ぽくてちょっとだけ話題になってる
このスレは古いので、もうすぐ消えます。
126/03/15(日)22:22:32No.1411143725そうだねx96
カタ断面図
226/03/15(日)22:22:33No.1411143733そうだねx5
今になって古墳が新発見されるとかあるんだ
326/03/15(日)22:23:27No.1411144058そうだねx19
先んじて掘りに行こうぜ「」!
426/03/15(日)22:23:50No.1411144193そうだねx13
カタ内臓
526/03/15(日)22:23:58No.1411144254そうだねx18
カタ尾てい骨
626/03/15(日)22:24:13No.1411144339そうだねx18
こんなデカいのが未発見とかある?
726/03/15(日)22:24:34No.1411144488そうだねx20
カタ酷い口内炎
826/03/15(日)22:24:40No.1411144537そうだねx26
エロいスレかと思ったのに
926/03/15(日)22:24:46No.1411144572そうだねx4
カタ大気圏に突入するザクの目のところ
1026/03/15(日)22:24:47No.1411144581そうだねx6
AIで結構新発見されてるらしいな墳墓
1126/03/15(日)22:24:47No.1411144584そうだねx10
興味ないんだろ誰も
1226/03/15(日)22:25:06No.1411144694+
報告すると自分の土地でもめんどくさい事になるんでしょ?
1326/03/15(日)22:25:09No.1411144714そうだねx2
カタアナルに突っ込んだVRゴーグルのX-RAY
1426/03/15(日)22:25:09No.1411144717そうだねx4
さいたまとか前方後円墳が密集してる地域あるからな
公園になってる
1526/03/15(日)22:25:46No.1411144923そうだねx7
>先んじて掘りに行こうぜ「」!
マジで重要な文化財が見つかる可能性あるからな…
1626/03/15(日)22:26:02No.1411145012そうだねx6
上に木が生えちゃったら岡とかと見分けつかないだろうし…
1726/03/15(日)22:26:22No.1411145124そうだねx41
「監督!遺跡が!」
「見なかったことにしようガリガリ」
1826/03/15(日)22:26:32No.1411145186+
もしかしてAI盗掘ブーム来る?
1926/03/15(日)22:26:34No.1411145200そうだねx11
なんのスクショだよこれ
2026/03/15(日)22:26:41No.1411145244+
ただの墓だぜ!?
2126/03/15(日)22:27:11No.1411145430+
宮内庁管轄になる前に掘ろうぜ!
2226/03/15(日)22:28:05No.1411145739+
っていうかどこ?
2326/03/15(日)22:28:09No.1411145758そうだねx1
古墳って割とどこでも見つかるよね
小さい円墳とか管理されてないだろ
2426/03/15(日)22:28:10No.1411145764そうだねx7
現在知られてなくても過去に盗掘されてる可能性は普通にある
2526/03/15(日)22:28:14No.1411145802そうだねx3
日本人は全員身体のどこかに前方後円墳が埋め込まれてるみたいな話?
2626/03/15(日)22:28:24No.1411145872そうだねx2
お前あの古墳暴いたんか!?展開がくる
2726/03/15(日)22:28:37No.1411145949そうだねx13
関東だと完全にこの地方の豪族でしかないから宮内庁関係ない
2826/03/15(日)22:28:50No.1411146008+
毎日通勤で246号の古墳えぐったトンネル通ってるぜ
2926/03/15(日)22:29:01No.1411146073+
地図サービスの最新機能であっさり見つかったんだな
3026/03/15(日)22:29:04No.1411146087そうだねx7
何使ったスキャンなのこれ
3126/03/15(日)22:29:41No.1411146278そうだねx2
カタ何らかの症例
3226/03/15(日)22:29:42No.1411146284+
こうやって新しい発見があるのは夢があることなのか
こうしてどんどん未発見が潰されているという点で夢がないことなのか
3326/03/15(日)22:30:04No.1411146419そうだねx3
>関東だと完全にこの地方の豪族でしかないから宮内庁関係ない
しかし邪馬台国関東説が誕生したら?
3426/03/15(日)22:30:15No.1411146492+
100mサイズでも気づかれないもんなんだな
3526/03/15(日)22:30:25No.1411146552+
>お前あの古墳暴いたんか!?展開がくる
お前知ってたのに今まで何やってたんだよ
3626/03/15(日)22:30:28No.1411146581+
日本の古墳掘ってもなんにもならんしエジプト行こうぜ
3726/03/15(日)22:31:42No.1411147018+
>日本の古墳掘ってもなんにもならんしエジプト行こうぜ
やはりエジプトか
3826/03/15(日)22:32:04No.1411147145+
100m級で見つかってないことあるんだ…
3926/03/15(日)22:32:26No.1411147289そうだねx6
>カタ酷い口内炎
前方後円口内炎とか悪魔すぎる
4026/03/15(日)22:33:16No.1411147571そうだねx5
>100mサイズでも気づかれないもんなんだな
100km級のが誰にも気付かれずに存在してて欲しい…
4126/03/15(日)22:33:29No.1411147650+
もう確かめようもないし卑弥呼の墓にしようぜ
4226/03/15(日)22:33:59No.1411147853そうだねx4
>>100mサイズでも気づかれないもんなんだな
>100km級のが誰にも気付かれずに存在してて欲しい…
まさか…
俺達が立っているこの場所は…
4326/03/15(日)22:34:02No.1411147877+
つづみ弾を入れた人のレントゲン着色かとおもった
4426/03/15(日)22:34:27No.1411147994+
円墳もあるね
4526/03/15(日)22:34:54No.1411148170そうだねx20
古墳って実際行って見ても堀がない限り山というか丘でしかないよね
4626/03/15(日)22:35:09No.1411148266そうだねx1
俺の家から見える畑の謎の丘たちをGoogleマップで見たらほとんど古墳だった
4726/03/15(日)22:35:11No.1411148276そうだねx9
>報告すると自分の土地でもめんどくさい事になるんでしょ?
発掘時3割自費で負担と聞いた
誰が報告するんだよ
4826/03/15(日)22:35:12No.1411148283+
財宝が隠されている可能性が
4926/03/15(日)22:35:41No.1411148438+
実際のところ古墳ってなんかいいもんあんの
5026/03/15(日)22:35:45No.1411148452+
>100m級で見つかってないことあるんだ…
古墳自体関東平野にはもっとあると言われてるけど大抵埋もれてしまって何割だっけな見つかってるのは2割くらいじゃないかと言われてる
5126/03/15(日)22:36:06No.1411148591+
>>報告すると自分の土地でもめんどくさい事になるんでしょ?
>発掘時3割自費で負担と聞いた
>誰が報告するんだよ
事業者でもない限り出るんじゃなかったっけ
5226/03/15(日)22:36:55No.1411148863+
>「監督!遺跡が!」
>「見なかったことにしようガリガリ」
なんで発掘費用はこっち持ちなんだろうな
アホ臭いからみんな埋める
5326/03/15(日)22:36:59No.1411148884そうだねx6
見つかってないっていうか
普通に気が生い茂ってりゃ山にしか見えんし見てわからないの?って話にもならねえ
5426/03/15(日)22:37:15No.1411148978+
いーかげんに作られてちょっとした丘のまま意義が消失した古墳もあるんだろうか
5526/03/15(日)22:37:20No.1411149024+
>関東だと完全にこの地方の豪族でしかないから宮内庁関係ない
一瞬だけ陵墓治定の可能性あったからないとは
5626/03/15(日)22:37:25No.1411149053+
>実際のところ古墳ってなんかいいもんあんの
歴史的発見かもしれねえ…
5726/03/15(日)22:38:05No.1411149289そうだねx13
>「監督!遺跡が!」
>「見なかったことにしようガリガリ」
産婆がキュッするコピペとかも好きそう
5826/03/15(日)22:38:28No.1411149433そうだねx3
下手なの来ないようにボカしてるの偉い!
5926/03/15(日)22:38:41No.1411149505+
関東の豪族の古墳だと大抵あるのは青銅の剣や勾玉とかくらいだなあと鎧
6026/03/15(日)22:38:47No.1411149548+
ピラミッドみたいな石が積まれてるとかならともかくな…
6126/03/15(日)22:38:52No.1411149570そうだねx1
円墳もあるのか
6226/03/15(日)22:39:23No.1411149751そうだねx1
>関東の豪族の古墳だと大抵あるのは青銅の剣や勾玉とかくらいだなあと鎧
レア装備じゃん…
6326/03/15(日)22:39:33No.1411149793+
人間が日常的に生活してるとただの上り坂下り坂みたいにしか思わんからな…
6426/03/15(日)22:39:39No.1411149824+
地上から見たら丘と何ら変わらん古墳も結構あるからなあ
6526/03/15(日)22:39:46No.1411149866+
酸性土壌だから遺物ほぼ残らないんだよなあ…
6626/03/15(日)22:39:57No.1411149918そうだねx2
遺跡見なかったことにするような業者はだいたいは他のもっとやべえもん見なかったことにしてやらかして潰れ済みだぞ
6726/03/15(日)22:40:14No.1411150028+
>いーかげんに作られてちょっとした丘のまま意義が消失した古墳もあるんだろうか
地震で消えたり開墾されて消えたりしてるのもありそう
6826/03/15(日)22:40:17No.1411150043+
>実際のところ古墳ってなんかいいもんあんの
誰が埋まってるか分かるだけで大発見だろ…
6926/03/15(日)22:40:22No.1411150070+
>レア装備じゃん…
発掘物見たことあるけど錆びたりしてぼろっぼろでぱっと見ゴミだよ…
7026/03/15(日)22:40:50No.1411150220+
古墳群の中にあったから古墳と思われてたがただの丘でしたってのもあるんだよな
7126/03/15(日)22:41:03No.1411150300+
新しいはにわドッグが増えるかもしれん
7226/03/15(日)22:41:08No.1411150328+
蛇行剣と盾状鏡みたいに驚きの新発見がまだあるといいなぁ
7326/03/15(日)22:41:22No.1411150403+
いい加減卑弥呼の墓見つけろよ
7426/03/15(日)22:41:34No.1411150472+
>発掘物見たことあるけど錆びたりしてぼろっぼろでぱっと見ゴミだよ…
一撃だけ凄まじい威力を出して朽ち果てるやつだ…
7526/03/15(日)22:41:53No.1411150570+
航空レーザー測距すんげえ〜
7626/03/15(日)22:41:55No.1411150589+
蛇行剣は近所過ぎてビビったわ
7726/03/15(日)22:42:51No.1411150882+
前にラジオで言ってたけど
みんな古墳群について理解ないんですよね日本で2000年近く経っても残るのは標高500mとかの高い位置のだらけだから現代ではマジで誰も寄らなくて未だ未発見のだらけなんですって言ってたな
7826/03/15(日)22:43:19No.1411151046そうだねx3
人の目線から見たら丘か山だし上から草木を除いた状態で見ないとわからんわな
7926/03/15(日)22:43:35No.1411151130そうだねx1
>>レア装備じゃん…
>発掘物見たことあるけど錆びたりしてぼろっぼろでぱっと見ゴミだよ…
大地の結晶が大量に要るやつじゃん…
8026/03/15(日)22:43:44No.1411151200+
古墳があるころ関東って栄えてたの?
8126/03/15(日)22:43:48No.1411151235+
沖縄みたいなアルカリ質の土壌か泥沼だったら遺物の保存状況も良いんだけどね
大学の講義かなんかで聞いたけど綺麗な弥生時代の漆塗りの製品が沼地から出てきたけど空気に晒された瞬間一気に状態悪くなって色落ちしたとか
8226/03/15(日)22:43:55No.1411151271+
>「監督!遺跡が!」
>「見なかったことにしようガリガリ」
府中本町のイトーヨーカドーをラウンドワンに改装する時に駐車場の舗装剥がしたら即遺跡が出てきたって話思い出した
8326/03/15(日)22:44:10No.1411151353+
>発掘物見たことあるけど錆びたりしてぼろっぼろでぱっと見ゴミだよ…
正統な継承者が触れると蘇るんだろ?
8426/03/15(日)22:44:18No.1411151386+
国内最大級のストーンヘンジ的なものも邪魔だからって破壊されたとかいう話どっかで見たな
8526/03/15(日)22:44:38No.1411151500そうだねx5
>>「監督!遺跡が!」
>>「見なかったことにしようガリガリ」
>府中本町のイトーヨーカドーをラウンドワンに改装する時に駐車場の舗装剥がしたら即遺跡が出てきたって話思い出した
前のやつが無視してたのか…
8626/03/15(日)22:44:51No.1411151592+
LiDARで?
8726/03/15(日)22:45:05No.1411151686+
日本の土壌だと墓暴きしたところで何もない可能性高いからなぁ
8826/03/15(日)22:45:27No.1411151828+
>古墳があるころ関東って栄えてたの?
今の東京辺りはあんまり人住んで無くて埼玉の辺りにはそこそこ大きな集落があったようだ
8926/03/15(日)22:45:43No.1411151937+
>前にラジオで言ってたけど
>みんな古墳群について理解ないんですよね日本で2000年近く経っても残るのは標高500mとかの高い位置のだらけだから現代ではマジで誰も寄らなくて未だ未発見のだらけなんですって言ってたな
実際そんな小さい墓なんて近所のおじいちゃんの墓みたいなもんだろ
9026/03/15(日)22:45:48No.1411151960+
はっきりしてるけど見る限り造り出しはなさそう
9126/03/15(日)22:46:05No.1411152049+
カタログでロボットの頭部と眼の部分だと思ったのに
9226/03/15(日)22:46:30No.1411152159+
大陸は青銅器も綺麗にのこってて羨ましいと思ったな
曾候乙墓展行ったけど凄かった
9326/03/15(日)22:46:34No.1411152182+
>発掘物見たことあるけど錆びたりしてぼろっぼろでぱっと見ゴミだよ…
鉄はほぼ形がなくなる…
その天青銅器ってスゲーよないつまでも残ってる
9426/03/15(日)22:46:44No.1411152238+
中央から離れた地域でも示し合わせたように前方後円噴の形になるのよくできてる
9526/03/15(日)22:47:05No.1411152336そうだねx3
寝てるから起こさないで欲しい
9626/03/15(日)22:47:08No.1411152352+
国には内緒にしておいてくれ
9726/03/15(日)22:47:34No.1411152506+
https://x.com/Yama_Chizu/status/2032730577334669726?s=20
これで探せるようだ
9826/03/15(日)22:47:56No.1411152621+
昔のお墓ばかりで開発できなくて困ることもあるだろうしな
9926/03/15(日)22:48:18No.1411152750+
気付いてないだけで古墳の上に建ってる宅地とかもあるんだろうか
10026/03/15(日)22:48:34No.1411152830+
アクセス悪いとまともに近寄ることすら出来ねえからな
10126/03/15(日)22:48:49No.1411152897+
>>レア装備じゃん…
>発掘物見たことあるけど錆びたりしてぼろっぼろでぱっと見ゴミだよ…
国宝レベルでもゴミなの悲しいよね
10226/03/15(日)22:49:25No.1411153108+
万が一にも上野公園とかで見つかっちゃったらどうすんだろうな
10326/03/15(日)22:50:02No.1411153316+
墓じまいしなきゃ
子孫みつかるといいね
10426/03/15(日)22:50:14No.1411153388そうだねx23
fu6421286.jpg
絶対分からん
10526/03/15(日)22:50:15No.1411153393そうだねx1
国がちゃんと金出してくれんならみんなちゃんと報告してくれると思う
10626/03/15(日)22:50:38No.1411153523+
考古学は金にならないから発掘調査なんて積極的にできないんだ
多分ここだろうって場所があっても余程でもないと掘れない
山にある史跡や古墳は道路整備に伴って見つかることが圧倒的に多い
10726/03/15(日)22:50:53No.1411153603+
現代人の生活優先させてくれや
10826/03/15(日)22:51:09No.1411153705そうだねx8
>fu6421286.jpg
>絶対分からん
こりゃわからん
10926/03/15(日)22:51:14No.1411153741+
古墳とか歴史的建造物残ってるのって当然ながら災害に強い土地なんですよね
そういうの残して生きてる人間は台風で沈む土地やら断層が下の通ってる土地に住むという
11026/03/15(日)22:51:39No.1411153893+
>現代人の生活優先させてくれや
現代人が使うとこじゃねえから今まで未発見なんだよ
11126/03/15(日)22:51:39No.1411153894+
誰も脚踏み入れてなさすぎる…
11226/03/15(日)22:51:48No.1411153941+
>fu6421286.jpg
>絶対分からん
現地いっても知らんと山の中の起伏にしか思わんだろなぁ
11326/03/15(日)22:51:50No.1411153954そうだねx3
>古墳とか歴史的建造物残ってるのって当然ながら災害に強い土地なんですよね
古墳は全然関係ないよ
11426/03/15(日)22:51:51No.1411153960+
関東の地元にも円環の墳墓あるな
森の中にあるけど森開拓する理由も無いからガチで放置されてる
11526/03/15(日)22:52:29No.1411154202+
大したもん出てこないし盗掘人も現れないよね
11626/03/15(日)22:52:29No.1411154204+
すぐそばに神社があるし昔は大切にされてた感じする
11726/03/15(日)22:53:20No.1411154492+
神社やお寺ないと切り崩されたりしちゃうからね
11826/03/15(日)22:53:26No.1411154520+
その辺にあるから大したもんでもないし
見つけると保存が大変だから…って感じなんじゃないんです?
11926/03/15(日)22:53:29No.1411154535そうだねx9
>古墳とか歴史的建造物残ってるのって当然ながら災害に強い土地なんですよね
>そういうの残して生きてる人間は台風で沈む土地やら断層が下の通ってる土地に住むという
どこでそんなの吹き込まれたの…
12026/03/15(日)22:53:39No.1411154588+
住みやすい土地は1000年前からそのノリで人がいたりしたんだから出るのが当然なんよ
12126/03/15(日)22:53:44No.1411154614そうだねx3
発掘は基本的に遺跡にダメージがいくから遺跡保存の観点からはやりたくない
12226/03/15(日)22:53:50No.1411154646+
塚山とか呼ばれて地名に残ってたりするから昔から墓だとは分かってたりはするんだよな
12326/03/15(日)22:53:56No.1411154681そうだねx4
遺構調査の費用が地主や開発会社持ちってのが本当に狂ってる
12426/03/15(日)22:54:07No.1411154745+
古墳って観光名所にならないし邪魔よね
って近畿地方の地図見て思う
12526/03/15(日)22:54:10No.1411154759+
>万が一にも上野公園とかで見つかっちゃったらどうすんだろうな
23区内に普通に前方後円墳あるよ
あと東京は連続した文化圏だから仮に上野公園にあったとしても今ないってことは
大昔に削平されてるだろうから分からないよ
12626/03/15(日)22:54:10No.1411154761+
文化遺産の権利で金になるならともかく損しかしないんなら
当時の古代人みたいに遺跡なんて建材としか思ってないみたいなメンタルになるのが当然だよな
12726/03/15(日)22:54:48No.1411154971+
邪馬台国跡だよ
12826/03/15(日)22:55:27No.1411155162+
クラファンで発掘費用募ってたりしたら場所によっては出してもいい
12926/03/15(日)22:55:43No.1411155247+
>その天青銅器ってスゲーよないつまでも残ってる
青銅剣いいよね…
https://www.cnn.co.jp/style/arts/35205364.html
13026/03/15(日)22:55:45No.1411155253+
>邪馬台国跡だよ
やっぱりそうか…
13126/03/15(日)22:56:08No.1411155369+
>古墳って観光名所にならないし邪魔よね
>って近畿地方の地図見て思う
まぁあれでもだいぶ潰された後だからな
13226/03/15(日)22:56:39No.1411155530+
小型の古墳あるけどそこの周囲全部畑になってて古墳部分だけ手付かずだなぁ
調査入ったとも聞かんし多分ただの豪族
13326/03/15(日)22:56:39No.1411155534+
非破壊検査で遺跡の内部見れたら最高なんだけどね
LiDARで外観は分かるけど遺跡内部もスキャンできないのかな
13426/03/15(日)22:57:21No.1411155755+
カタ最低野郎のAT
13526/03/15(日)22:57:51No.1411155923+
100m級って古墳だとそうでもないサイズ?
13626/03/15(日)22:57:51No.1411155926+
何かで玄室の有無くらいはわかるんじゃなかった
13726/03/15(日)22:59:50No.1411156570+
>邪馬台国跡だよ
いやいやいやいやそんなはずはないでしょ
13826/03/15(日)22:59:52No.1411156590+
>LiDARで外観は分かるけど遺跡内部もスキャンできないのかな
X線出すめちゃくちゃデカい機械とか…
13926/03/15(日)23:00:13No.1411156703+
大阪の堺市と大阪市の堺あたりに古墳集まりすぎる
14026/03/15(日)23:00:15No.1411156713+
>100m級って古墳だとそうでもないサイズ?
関東の前方後円墳なら大きい方
14126/03/15(日)23:00:28No.1411156789+
>100m級って古墳だとそうでもないサイズ?
群代表の豪族ぐらい
14226/03/15(日)23:00:51No.1411156910+
>もう確かめようもないし卑弥呼の墓にしようぜ
卑弥呼の墓は方墳だから地形に馴染んで見つけづらいかもしれん
前方後円墳は特徴的でわかりやすいけど
14326/03/15(日)23:01:04No.1411156989+
>何かで玄室の有無くらいはわかるんじゃなかった
レーダー探査で空間や埋設物の有無とかは分かるけどそれらが具体的に何なのかは掘らなきゃわからん
14426/03/15(日)23:01:23No.1411157099そうだねx1
>https://x.com/Yama_Chizu/status/2032730577334669726?s=20
>これで探せるようだ
宇宙から地表の高さを1m単位で測れるのか凄いな
14526/03/15(日)23:01:33No.1411157159+
>100m級って古墳だとそうでもないサイズ?
近畿の著名な古墳群との比較だと大したことないけど現状関東で見つかってる古墳との比較ならかなり大きめ
関東圏で前方後円墳なのもレアだし
14626/03/15(日)23:01:37No.1411157176+
邪馬台国なら九州なはずだからな
14726/03/15(日)23:01:45No.1411157227+
なるほどマグネットパワー…
14826/03/15(日)23:01:55No.1411157275+
>非破壊検査で遺跡の内部見れたら最高なんだけどね
>LiDARで外観は分かるけど遺跡内部もスキャンできないのかな
音波やレーダーで非破壊内部調査はやってる
ただ頻繁にやるだけの金がない
14926/03/15(日)23:03:17No.1411157668+
先にこういう古墳が見つかると古墳ありきでどんな人が建てたのか検討が始まるんだろうか
15026/03/15(日)23:03:26No.1411157712+
近畿地方のある古墳について
15126/03/15(日)23:03:33No.1411157754+
弥生時代なんてやよいって名称自体が文京区の町名由来だし
関東もそれなりに遺跡あるよね
15226/03/15(日)23:04:14No.1411157959+
>大したもん出てこないし盗掘人も現れないよね
基本的に全く金にならねえからなぁ考古学
鑑定すんのだって金かかるし
15326/03/15(日)23:05:04No.1411158224+
なんかレア物埋まってないかな
15426/03/15(日)23:05:12No.1411158275+
しかしもしLR古墳引いたらそこで町一つ食わせられる名所にもなりますぜ!
15526/03/15(日)23:05:19No.1411158315+
ゴッドハンドが建てた墳墓の可能性
15626/03/15(日)23:05:55No.1411158515+
>非破壊検査で遺跡の内部見れたら最高なんだけどね
>LiDARで外観は分かるけど遺跡内部もスキャンできないのかな
そう言えば宇宙線でピラミッドやら古墳をレントゲン撮影したみたいなのやってたな
15726/03/15(日)23:06:11No.1411158611+
カタスコープドッグ
15826/03/15(日)23:06:13No.1411158625+
>先にこういう古墳が見つかると古墳ありきでどんな人が建てたのか検討が始まるんだろうか
考古学的には余程明確な証拠でも出ない限り
「この地方の有力な豪族」としか言えないんだ
15926/03/15(日)23:06:14No.1411158631そうだねx4
>これで探せるようだ
ご近所の古墳も例の形してんのかなって見てみたらだめだった
fu6421390.jpg
16026/03/15(日)23:06:29No.1411158711+
>しかしもしLR古墳引いたらそこで町一つ食わせられる名所にもなりますぜ!
古墳じゃ無理じゃねえかな…
16126/03/15(日)23:06:37No.1411158750+
八王子の駅近だけど地図見たら家から半径300m位内に古墳が5個くらいある
16226/03/15(日)23:06:58No.1411158882+
卑弥呼の墓かミイラでもありゃな…
16326/03/15(日)23:07:12No.1411158967+
うちの庭が古墳だが現状何の意味も無い
16426/03/15(日)23:07:33No.1411159091そうだねx1
>>これで探せるようだ
>ご近所の古墳も例の形してんのかなって見てみたらだめだった
>fu6421390.jpg
クパァ
自身で崩れてたりするよね…
16526/03/15(日)23:07:36No.1411159108+
凄いアクセス悪いところにあるんだろうか
16626/03/15(日)23:07:56No.1411159235+
>大したもん出てこないし盗掘人も現れないよね
金の装飾品とかあればいいけどだいたい盗掘されてるし
16726/03/15(日)23:08:39No.1411159478+
箸墓古墳ですら地震で崩れてるしな
16826/03/15(日)23:08:45No.1411159512+
>ご近所の古墳も例の形してんのかなって見てみたらだめだった
>fu6421390.jpg
横穴式石室えぐり出したみたいになっててダメだった
16926/03/15(日)23:08:50No.1411159541+
誰か分からん墓って結構あるけどみんな棺の中に名前入れないのかな
もしかした名前を入れた木簡が腐り落ちて何も分からなくなっているかもしれないけど
17026/03/15(日)23:08:51No.1411159545+
凄いな完璧に未調査っぽい
軽い気持ちでツイートしたいみたいだけど話題になってびっくりしてるな
17126/03/15(日)23:09:38No.1411159797+
実際のところ古墳出てきて過去がわかったとして地元民的には嬉しい要素ってあるのかな
観光地化?
17226/03/15(日)23:09:58No.1411159917+
なんで古墳のスレが二つもあんだよ
流行ってんのか
17326/03/15(日)23:10:06No.1411159966+
>>大したもん出てこないし盗掘人も現れないよね
>金の装飾品とかあればいいけどだいたい盗掘されてるし
大体は鎌倉から室町にかけて盗掘されてるし
江戸時代の田畑の開拓で消滅した古墳も多い
17426/03/15(日)23:10:09No.1411159978+
最近は遺跡調査入ると工期伸びるので黙ってるあつらくなライフハックがあると聞いた
17526/03/15(日)23:10:09No.1411159983+
村長一族レベルでも古墳作ってたしな
17626/03/15(日)23:10:40No.1411160141+
>誰か分からん墓って結構あるけどみんな棺の中に名前入れないのかな
>もしかした名前を入れた木簡が腐り落ちて何も分からなくなっているかもしれないけど
ほぼ全部の古墳はこの時代にこの辺にいた奴ならこいつ!で推測してる
なんなら天皇陵も多分天皇が入ってるはずだ!という推測で守ってる
17726/03/15(日)23:10:41No.1411160147+
>しかしもしLR古墳引いたらそこで町一つ食わせられる名所にもなりますぜ!
家のすぐ近くに竪穴式住居跡とかメタセコイア化石群とか天皇のお墓とかあるけどぜんぜんだぞ…
17826/03/15(日)23:10:47No.1411160177そうだねx5
>最近は遺跡調査入ると工期伸びるので黙ってるあつらくなライフハックがあると聞いた
最近ではない…
17926/03/15(日)23:10:50No.1411160194+
ちっちゃめな円墳や方墳でいいなら検索かければ割とそこら中にありふれてるからな
小学校の通学路にあったあのちょっと小高い林って古墳だったんだとか普通にある
18026/03/15(日)23:11:16No.1411160347+
>今になって古墳が新発見されるとかあるんだ
整備してない古墳はただの小山なので気づかれてないパターンは結構あるし
権利者の誰かが気付いてもそのまま見なかった事にしとけ!って事も割とある
面倒くさいだけだから
18126/03/15(日)23:11:24No.1411160375そうだねx2
>実際のところ古墳出てきて過去がわかったとして地元民的には嬉しい要素ってあるのかな
>観光地化?
多分あんまり無いと思う
「」が思ってる以上に古墳って多くあって
基本的にどれも未調査だから何も分かってないんだ
18226/03/15(日)23:11:25No.1411160380+
>関東だと完全にこの地方の豪族でしかないから宮内庁関係ない
都の貴族と地方の豪族の墓が同じ様式なのはロマンだね
18326/03/15(日)23:11:57No.1411160557+
金があったとて量はたかが知れてる上に売るなら溶かして売らなきゃいけないから考古学としての価値も0
貴金属店盗みに入った方が楽まである
18426/03/15(日)23:12:16No.1411160686+
>権利者の誰かが気付いてもそのまま見なかった事にしとけ!って事も割とある
>面倒くさいだけだから
なあこの高低赤地図ってもしかしてそういうのを暴い…
18526/03/15(日)23:12:52No.1411160902+
探そうとしてないだけで未発見な古墳はまだまだあると思うよ
見つかったところで金かけて調査する価値もあんまりないんだよな
考古学の難しいところだ
18626/03/15(日)23:13:07No.1411161001+
もう市に連絡したみたいだし楽しみだな
18726/03/15(日)23:13:52No.1411161255+
>誰か分からん墓って結構あるけどみんな棺の中に名前入れないのかな
>もしかした名前を入れた木簡が腐り落ちて何も分からなくなっているかもしれないけど
fu6421438.jpg
殆どの場合はボロボロになっていてそれが墓誌なのかどうかも分からなくなっているからな
18826/03/15(日)23:14:09No.1411161345そうだねx1
>金があったとて量はたかが知れてる上に売るなら溶かして売らなきゃいけないから考古学としての価値も0
不純物が多いから貴金属価値が低くても考古学価値はあるだろ
18926/03/15(日)23:14:23No.1411161415+
権利者以外が気付いて調査させてくださいって時も権利者が何割か支払うんだろうか
ていうか拒否できるのかな
19026/03/15(日)23:14:27No.1411161436+
この地図画像認識ソフトと組み合わせたら古墳っぽい形の地形を全部抽出はできちゃうと思う
土地持ちにとても迷惑な時代が来たか?
19126/03/15(日)23:14:34No.1411161477+
>https://x.com/Yama_Chizu/status/2032730577334669726?s=20
このマップで自衛隊の駐屯地見ると面白いよ
だいたい四角形に囲まれたゾーンある…手榴弾の練習とかに使うのかな
19226/03/15(日)23:14:46No.1411161556+
>>金があったとて量はたかが知れてる上に売るなら溶かして売らなきゃいけないから考古学としての価値も0
>不純物が多いから貴金属価値が低くても考古学価値はあるだろ
考古学価値があっても金にならんのだ
19326/03/15(日)23:14:55No.1411161603+
遺跡を黙殺せず真面目に調査するようになったから人手が足りてないし
出てきた土器とかを保存する倉庫も不足してきてます
19426/03/15(日)23:15:19No.1411161741+
>見つかったところで金かけて調査する価値もあんまりないんだよな
>考古学の難しいところだ
価値がないだけならまだいい
やりたかった奴が損するだけだから
価値はないけど保全しときましょうか、地主やっとけとかだから嫌がられる
19526/03/15(日)23:15:27No.1411161788+
土地所有者が発掘調査してよ!って言っても
もしするなら自費で…みたいになるのが地方の古墳だ
19626/03/15(日)23:15:32No.1411161816そうだねx4
>>最近は遺跡調査入ると工期伸びるので黙ってるあつらくなライフハックがあると聞いた
>最近ではない…
いまそんな事やってバレたら入札停止やら何やらで小さな工務店なら即倒産レベル
19726/03/15(日)23:15:36No.1411161830そうだねx1
昨日サイト行ったら
>全国Q地図は、個人が趣味で運営している非営利のウェブサイトです。
って書いてあって気合入ってるなって思った
19826/03/15(日)23:15:40No.1411161859+
カタヘルニア
19926/03/15(日)23:16:02No.1411161978+
>土地所有者が発掘調査してよ!って言っても
>もしするなら自費で…みたいになるのが地方の古墳だ
国が金出せばまだマシなのにな
そこで出さねえから価値はねえと国自ら言ってるようなもんである
20026/03/15(日)23:16:05No.1411162001+
>>お前あの古墳暴いたんか!?展開がくる
>お前知ってたのに今まで何やってたんだよ
マスコミが来るし野次馬が来るし
調査費負担させられるし碌なことがない
20126/03/15(日)23:16:17No.1411162068+
金は朽ちずに残るから考古学的価値はある
産出地調べたりできるし
20226/03/15(日)23:16:40No.1411162203+
マグネットパワーとか出るなら使い道あるんだけどな
20326/03/15(日)23:17:07No.1411162342+
まぁ興味はあるけど積極的に税金を回せってなるかと言うと優先順位低いとは思うよ…
20426/03/15(日)23:17:51No.1411162611そうだねx1
日本は酸性土壌で湿度も高いからタンパク質はあっという間に分解されるし金属もすぐ腐食する
金銀の象嵌が残ってようやく文献として考古資料的価値が出たりするのが精一杯だ
20526/03/15(日)23:18:00No.1411162657+
>弥生時代なんてやよいって名称自体が文京区の町名由来だし
>関東もそれなりに遺跡あるよね
日本列島の歴史で西側が優勢だったのなんてここ最近の一時期だけだしな…
20626/03/15(日)23:18:03No.1411162684そうだねx1
>そこで出さねえから価値はねえと国自ら言ってるようなもんである
国民がめっちゃ金出せよって言えば出すようになるよ
20726/03/15(日)23:18:28No.1411162830+
>https://x.com/Yama_Chizu/status/2032730577334669726?s=20
>これで探せるようだ
水底なんかの水深も見えてるけどレーザーだといけるのか…?
20826/03/15(日)23:18:51No.1411162959+
郷土史研究の一環で自治体調査が本来の姿なんだろうけど先立つものがね
20926/03/15(日)23:19:01No.1411163021そうだねx6
>日本列島の歴史で西側が優勢だったのなんてここ最近の一時期だけだしな…
鎌倉幕府できるまで西側が歴史のメインだが…
21026/03/15(日)23:19:33No.1411163171+
近所の竹やぶの中にある古墳もはっきり見える面白いなこれ
21126/03/15(日)23:19:50No.1411163276そうだねx2
古墳って盗掘してもあんまり金銭的価値があるようなのは見つからなさそう
歴史的価値とかならまぁあるだろうけど金銀財宝って感じじゃないでしょ
21226/03/15(日)23:20:25No.1411163472+
皆似た形になってるのが凄いよなあ前方後円墳
各地で技術継承されてたってことだよね
21326/03/15(日)23:20:53No.1411163615+
>郷土史研究の一環で自治体調査が本来の姿なんだろうけど先立つものがね
基本的に後腐れなくそこら辺気軽に掘れる自治体であればあるほど人もいなけりゃすなわち金もないからな…
21426/03/15(日)23:21:11No.1411163707+
歴史的価値はあっても開発側からはマジモンの厄物だからここの制度もうちょいどうにかならんものか…
21526/03/15(日)23:21:16No.1411163737+
古墳時代と一口で言っても長いからな
21626/03/15(日)23:21:49No.1411163944+
仕事で使ってるけど色々見えて面白い
21726/03/15(日)23:22:06No.1411164039そうだねx1
>皆似た形になってるのが凄いよなあ前方後円墳
>各地で技術継承されてたってことだよね
ヤマト王権から技術者派遣されてる
21826/03/15(日)23:22:24No.1411164133+
地元にも結構古墳あるなと思った
21926/03/15(日)23:22:51No.1411164284+
ここに徳川埋蔵金あったらどうなる?
22026/03/15(日)23:23:12No.1411164410+
>古墳って盗掘してもあんまり金銭的価値があるようなのは見つからなさそう
>歴史的価値とかならまぁあるだろうけど金銀財宝って感じじゃないでしょ
江戸時代から昭和の戦前くらいまでは古墳から出てきた焼き物が素朴で侘び寂びとか言われてマニアの間で取引されてた
22126/03/15(日)23:23:18No.1411164447+
ちくしょうマザーあたりの没データでも新発見されたのかと思ったのに
22226/03/15(日)23:23:20No.1411164462+
>この地図画像認識ソフトと組み合わせたら古墳っぽい形の地形を全部抽出はできちゃうと思う
>土地持ちにとても迷惑な時代が来たか?
俺の持ってる山に古墳見つかって国がもらってくんねえかな…
22326/03/15(日)23:23:23No.1411164478+
貴金属系の価値はなくても真鍮とか銅ならスクラップとして価値にできるけど
量そのた諸々考えたら二束三文なのだ
22426/03/15(日)23:23:35No.1411164542+
>古墳って盗掘してもあんまり金銭的価値があるようなのは見つからなさそう
>歴史的価値とかならまぁあるだろうけど金銀財宝って感じじゃないでしょ
現代での金銭的価値のある物はほとんどないけど
すごい密閉空間だからこそ保たれてたりするから
仮に適当に開けて空気でも入れようものなら考古学的価値すら消失しかねない
それが古墳
22526/03/15(日)23:23:43No.1411164588+
>>>「監督!遺跡が!」
>>>「見なかったことにしようガリガリ」
>>府中本町のイトーヨーカドーをラウンドワンに改装する時に駐車場の舗装剥がしたら即遺跡が出てきたって話思い出した
>前のやつが無視してたのか…
ヨーカドーが向かいに移転しようとしたら出てきた遺跡を買い上げた府中市はえらいよ
まあそのおかげでヨーカドー撤退したから不便ではあるが…
22626/03/15(日)23:24:31No.1411164879+
>貴金属系の価値はなくても真鍮とか銅ならスクラップとして価値にできるけど
>量そのた諸々考えたら二束三文なのだ
持ち込まれた方もビビりそう
22726/03/15(日)23:25:07No.1411165066+
>俺の持ってる山に古墳見つかって国がもらってくんねえかな…
おう!開発禁止で管理よろしくな!
22826/03/15(日)23:25:23No.1411165155+
>まあそのおかげでヨーカドー撤退したから不便ではあるが…
あの辺一ライフラインが消滅して体滅んだ
22926/03/15(日)23:26:46No.1411165629+
古墳ってありすぎてなんかありがたみ薄いよね
やっぱクフ王クラスのネームバリュー欲しいわ
23026/03/15(日)23:27:43No.1411165923+
古墳とか外から見てもよく分かんねえし
23126/03/15(日)23:27:52No.1411165965+
俺が作らせたやつじゃん
23226/03/15(日)23:28:26No.1411166153+
地表に露出してるようなやつは大体盗掘されてるだろうし人が入らない山に作られた古墳は調査のハードル高すぎる…
ワンチャン世紀の大発見があるかもしれないけど大抵は地域の豪族の墓だから郷土史以上の貢献ないし
23326/03/15(日)23:30:20No.1411166712そうだねx1
>古墳ってありすぎてなんかありがたみ薄いよね
>やっぱクフ王クラスのネームバリュー欲しいわ
無もなき王の墓がこんだけ残ってるのもロマンあるよ
23426/03/15(日)23:30:26No.1411166748そうだねx1
稲荷山鉄剣みたいな例もあるから
本当にワンチャン国宝級が出ないとも限らない
23526/03/15(日)23:30:53No.1411166901+
>鎌倉幕府できるまで西側が歴史のメインだが…
東日本はそれまではド田舎の蛮族の地だからな…
23626/03/15(日)23:31:05No.1411166973+
先に掘って中に世紀の大発見になりそうなものでも埋めとくか
23726/03/15(日)23:31:37No.1411167139+
>先に掘って中に世紀の大発見になりそうなものでも埋めとくか
コーラの瓶とか
23826/03/15(日)23:32:27No.1411167426+
>ヨーカドーが向かいに移転しようとしたら出てきた遺跡を買い上げた府中市はえらいよ
何もない家康史跡の所だよね
駅前一等地に使えない広場があって失敗すぎる
23926/03/15(日)23:33:47No.1411167881そうだねx1
>無もなき王の墓がこんだけ残ってるのもロマンあるよ
王というか現代基準だと県知事とか市長くらいの身分の豪族も作ってるからなあ
24026/03/15(日)23:33:53No.1411167918+
>先に掘って中に世紀の大発見になりそうなものでも埋めとくか
今は遺物の周辺の地層をかなり入念に調べるから
後から掘って埋めたら地層が全然違うから即バレる
24126/03/15(日)23:34:40No.1411168167+
うちの近所にも古墳あったんだけど
あんまり大きくないのと見つかったのがその一部で
本体がどっかにあるっぽいけどよくわかりません
で終わってたな…
24226/03/15(日)23:34:53No.1411168242+
こんなクソデカい盛り土をホイホイ作るって結構豊かだよな
かなり綺麗に線引かれてるし
24326/03/15(日)23:36:27No.1411168800そうだねx1
てかこの場所の回りも山の上古墳だらけじゃねえか
そりゃ1つ2つ抜けてるだろうよ
https://qchizu.jp/map/#17/35.311321/139.972976/&base=std&ls=std%7C03_dem_52_gsi_all_2026_1_01_dem2mpirrim&blend=0&disp=11&vs=c1g1j0h0k0l0u0t0z0r0s0m0f0&d=m
24426/03/15(日)23:38:50No.1411169585+
>てかこの場所の回りも山の上古墳だらけじゃねえか
>そりゃ1つ2つ抜けてるだろうよ
>https://qchizu.jp/map/#17/35.311321/139.972976/&base=std&ls=std%7C03_dem_52_gsi_all_2026_1_01_dem2mpirrim&blend=0&disp=11&vs=c1g1j0h0k0l0u0t0z0r0s0m0f0&d=m
円墳だらけで笑う
24526/03/15(日)23:39:28No.1411169781+
カタAT
24626/03/15(日)23:39:34No.1411169820+
何だこのキショい地図は…
24726/03/15(日)23:40:24No.1411170106+
仁徳天皇陵(推定)の発掘調査そろそろ許してよ宮内庁
どうせ盗掘されて何も入ってないのは江戸時代から有名なんだから
24826/03/15(日)23:40:37No.1411170168+
場所は伏す
24926/03/15(日)23:40:51No.1411170254+
>てかこの場所の回りも山の上古墳だらけじゃねえか
>そりゃ1つ2つ抜けてるだろうよ
>https://qchizu.jp/map/#17/35.311321/139.972976/...(省略)
地名がモロに「金掘塚」な時点で知られていない古墳じゃなくて地主が忘れていただけ過ぎる…
25026/03/15(日)23:41:03No.1411170342そうだねx2
>円墳だらけで笑う
この土地キモすぎてスレ立てたらID出そう
25126/03/15(日)23:41:06No.1411170363+
>仁徳天皇陵(推定)の発掘調査そろそろ許してよ宮内庁
>どうせ盗掘されて何も入ってないのは江戸時代から有名なんだから
何も無いの分かっておるに調査する意味あるのっと
25226/03/15(日)23:41:39No.1411170568そうだねx1
何でこんな表示キモいんだよこの地図!
25326/03/15(日)23:41:57No.1411170677そうだねx1
内臓すぎる
25426/03/15(日)23:42:02No.1411170707+
何処の田舎だよ笑って笑いに来たら思いの外近かった
北関東の話かと…
25526/03/15(日)23:42:02No.1411170708+
>>仁徳天皇陵(推定)の発掘調査そろそろ許してよ宮内庁
>>どうせ盗掘されて何も入ってないのは江戸時代から有名なんだから
>何も無いの分かっておるに調査する意味あるのっと
猫箱の中の猫が生きてるか死んでるかは観測しないと分からないからだよ
25626/03/15(日)23:42:28No.1411170869そうだねx2
仁徳天皇陵が仁徳天皇陵じゃないと確定しちゃうとまずいから…
25726/03/15(日)23:43:01No.1411171069そうだねx2
>何だこのキショい地図は…
赤色立体図知らねえとかブラタモリ素人かよ
25826/03/15(日)23:43:12No.1411171126+
なんで赤にしたんだよ…
25926/03/15(日)23:43:18No.1411171160+
赤色立体地図知らないの?マジ?
26026/03/15(日)23:43:39No.1411171264+
煽り以前に何でこんなにキモマップなの?意味あるの?
26126/03/15(日)23:44:31No.1411171538+
エヴァとかに出てきそう
26226/03/15(日)23:44:38No.1411171566そうだねx1
スレ消えそうになってただの露骨な煽りきたな
26326/03/15(日)23:44:50No.1411171636+
高低差とかわからん空撮のみのアマゾンでも遺跡見つかってるし
世界各地でこれできたらすごいおもしろそう
26426/03/15(日)23:45:48No.1411171924+
>赤色立体地図が赤い理由は、
>「地形の傾斜(斜度)を、最も直感的に分かりやすく表現できる色だから」です。
そうなのか
26526/03/15(日)23:46:14No.1411172083+
ヘビースモーカーズフォレストもついに見つかるのか
26626/03/15(日)23:47:33No.1411172524+
めちゃくちゃいっぱいあるじゃん…なんなんこれ
26726/03/15(日)23:47:33No.1411172526+
今のうちにこっそりオナホとか埋めたら世紀の大発見になるかな…


1773580897392.png fu6421286.jpg fu6421390.jpg fu6421438.jpg